Nach dem die erste
Diese Entwickelt sich prÀchtig.
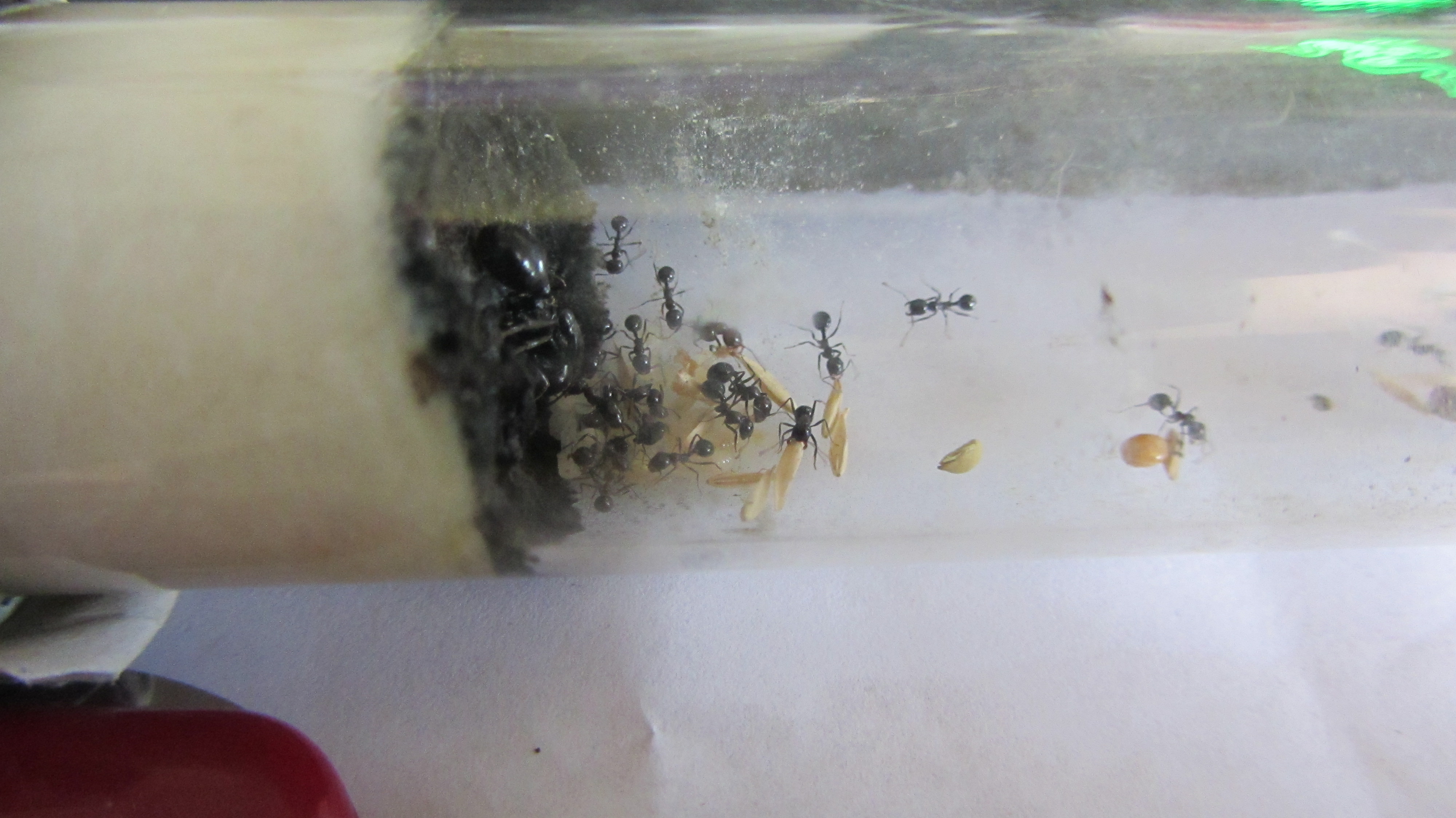
Seid etwa drei Monaten habe ich eine einzelne
Hier sind auch noch ein paar Bilder von diesem kleinen aber fleiĂigem Volk.
Hier könnt ihr Fragen und Anregungen zu diesem Haltungsbericht einbringen.
