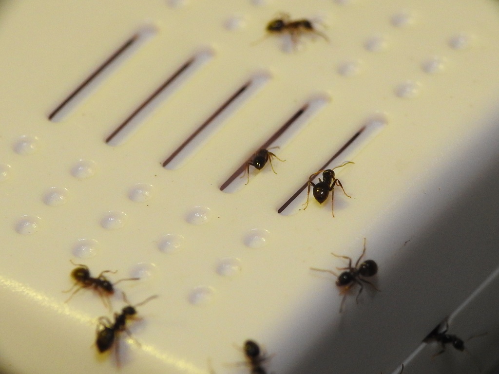
Im September dieses Jahres war mir aufgefallen, dass meine Lasius niger es im Thermometer auch ganz gemütlich finden. Sie haben sich durch die kleinen Öffnungen <1mm gequetscht. Jetzt werden einige vielleicht denken, ein Thermometer für Lasius niger? Eigentlich nicht nötig, das ist richtig, aber ich hatte kurz vorher das Setup ändern müssen um die ganze Angelegenheit ausbruchssicherer zu gestalten, das Thermometer war übrig und ist dann halt bei den Lasius niger gelandet.
Diese Arbeiterin läuft nicht etwa auf dem Thermometer herum, nein, sie ist unter der Scheibe auf der Digitalen Anzeige.
Ich möchte euch mal zeigen, wie viele Arbeiterinnen ich in dem Teil gefunden hatte. Ich habe das Thermometer also aufgeschraubt um die einzelnen Arbeiterinnen in eine kleine Plastikbox, welche natürlich mit Parafinöl gesichert war, zu befördern.
Die Platine und die Anzeige musste ich auch noch aufbauen, da hatte mir fĂĽr weitere Fotos die dritte Hand gefehlt.
Ich hab mal geschaut wie viele Ameisen sich im Thermometer verkrochen hatten und die Ameisen gezählt. Das Ergebnis beträgt 126 Ameisen.
Schöne Grüße,
Sir Joe
Lasius niger im Thermometer
Fotos von einheimischen und europäischen Ameisenarten.
Zurück zu „Einheimische & Europäische Ameisen“
Gehe zu
- Ameisenhaltung & Ameisenhaltungsberichte
- ↳ Haltungserfahrungen & Beobachtungen
- ↳ Ameisen-Haltungsberichte europäische Ameisen
- ↳ Camponotus-Haltungsberichte (europäische Ameisenarten)
- ↳ Cataglyphis-Haltungsberichte (europäische Ameisenarten)
- ↳ Formica-Haltungsberichte (europäische Ameisenarten)
- ↳ Lasius-Haltungsberichte (europäische Ameisenarten)
- ↳ Manica-Hatungsberichte (europäische Ameisenarten)
- ↳ Messor-Haltungsberichte (europäische Ameisenarten)
- ↳ Myrmica-Haltungsberichte (europäische Ameisenarten)
- ↳ Pheidole-Haltungsberichte (europäische Ameisenarten)
- ↳ Temnothorax-Haltungsberichte (europäische Ameisenarten)
- ↳ Tetramorium-Haltungsberichte (europäische Ameisenarten)
- ↳ Ameisen sonstige einheimische Gattungen/Arten-Haltungsberichte
- ↳ Ameisen-Haltungsberichte exotische Ameisen
- ↳ Acromyrmex-Haltungsberichte (exotische Ameisenarten)
- ↳ Atta-Haltungsberichte (exotische Ameisenarten)
- ↳ Anoplolepsis-Haltungsberichte (exotische Ameisenarten)
- ↳ Camponotus-Haltungsberichte (exotische Ameisenarten)
- ↳ Carebara (Pheidologeton)-Haltungsberichte (exotische Ameisenarten))
- ↳ Cataglyphis-Haltungsberichte (exotische Ameisenarten)
- ↳ Diacamma-Haltungsberichte (exotische Ameisenarten)
- ↳ Gigantiops-Haltungsberichte (exotische Ameisenarten)
- ↳ Harpegnathos-Haltungsberichte (exotische Ameisenarten)
- ↳ Messor-Haltungsberichte (exotische Ameisenarten)
- ↳ Myrmecia-Haltungsberichte (exotische Ameisenarten)
- ↳ Odontomachus-Haltungsberichte (exotische Ameisenarten)
- ↳ Oecophylla-Haltungsberichte (exotische Ameisenarten)
- ↳ Neoponera / Pachycondyla-Haltungsberichte (exotische Ameisenarten)
- ↳ Paraponera-Haltungsberichte (exotische Ameisenarten)
- ↳ Pheidole-Haltungsberichte (exotische Ameisenarten)
- ↳ Polyrhachis-Haltungsberichte (exotische Ameisenarten)
- ↳ Solenopsis-Haltungsberichte (exotische Ameisenarten)
- ↳ Sonstige exotische Ameisengattungen/Arten-Haltungsberichte
- ↳ Ameisenbeobachtungen im Freiland
- ↳ Meinungen & Fragen zu den Haltungsberichten
- Einsteiger Fragen und Informationen
- ↳ Einsteigerfragen
- ↳ Informationen fĂĽr Einsteiger
- ↳ Ungebetene Untermieter & Störenfriede im Haus
- Neuigkeiten und Information
- ↳ Neuigkeiten
- ↳ Wissen & Handwerk der Ameisenhaltung
- ↳ Ameisenfutter
- ↳ Tutorials
- ↳ Die schönsten / tollsten Formicarien
- ↳ Wissensthreads
- ↳ Artbeschreibungen (Steckbriefe)
- ↳ Linkliste
- ↳ Lexikon
- ↳ Diskussionen und Hinweise zum Wissensbereich
- ↳ Forenregeln & Wichtige Hinweise
- Haltungsberichte mit Edit-Rechten
- ↳ Ameisenhaltungsbericht von Justus64 [Pheidole megacephala]
- ↳ Berichte von Martin H.
- Welches Futter fĂĽr welche Ameisenarten
- ↳ Futter fĂĽr einheimische Ameisenarten
- ↳ Camponotus [Futter]
- ↳ Cataglyhis [Futter]
- ↳ Formica [Futter]
- ↳ Lasius [Futter]
- ↳ Manica [Futter]
- ↳ Messor [Futter]
- ↳ Myrmica [Futter]
- ↳ Pheidole [Futter]
- ↳ Sonstige Gattungen [Futter]
- ↳ Futter fĂĽr exotische Ameisenarten
- ↳ Acromyrmex & Atta [Futter]
- ↳ Camponotus [Futter]
- ↳ Carebara [Futter]
- ↳ Diacamma [Futter]
- ↳ Messor [Futter]
- ↳ Pheidole [Futter]
- ↳ Polyrhachis [Futter]
- ↳ Solenopsis [Futter]
- ↳ Sonstige Gattungen [Futter]
- Ameisen-Videos & Videos anderer Insekten
- ↳ Videos einheimischer Arten
- ↳ Camponotus [Videos]
- ↳ Cataglyphis [Videos]
- ↳ Formica [Videos]
- ↳ Lasius [Videos]
- ↳ Manica [Videos]
- ↳ Messor [Videos]
- ↳ Myrmica [Videos]
- ↳ Pheidole [Videos]
- ↳ Temnothorax [Videos]
- ↳ Tetramorium [Videos]
- ↳ Sonstige Gattungen [Videos]
- ↳ Videos exotische Arten
- ↳ Acromyrmex (exotisch) [Videos]
- ↳ Atta (exotisch) [Videos]
- ↳ Anoplolepsis (exotisch) [Videos]
- ↳ Camponotus (exotisch) [Videos]
- ↳ Carebara (exotisch) [Videos]
- ↳ Diacamma (exotisch) [Videos]
- ↳ Messor (exotisch) [Videos]
- ↳ Myrmecia (exotisch) [Videos]
- ↳ Oecophylla (exotisch) [Videos]
- ↳ Pheidole (exotisch) [Videos]
- ↳ Polyrhachis (exotisch) [Videos]
- ↳ Solenopsis (exotisch) [Videos]
- ↳ Andere exotische Gattungen [Videos]
- ↳ Videos andere Insekten
- ↳ Diskussionen Ameisen-Videos & andere Insekten
- Auszeichnungen
- ↳ User des Monats
- Projekte
- ↳ Projekte
- Ameisennester erstellt mit 3D-Druck
- Allgemein
- ↳ Europäische Ameisenarten & Allgemeines
- ↳ Exotische Ameisenarten
- ↳ Bestimmung von Ameisen
- ↳ Bestimmung von Ameisenköniginnen
- ↳ Fotos & Videos
- ↳ Einheimische & Europäische Ameisen
- ↳ Exotische Ameisen
- ↳ Formicarien & Andere Unterbringungen
- ↳ Fotoberichte & Videoberichte
- ↳ Videos
- ↳ Meinungen & Fragen zu den Fotos & Videos
- ↳ Mein Formikarium kurz vorgestellt
- ↳ Technik & Basteln
- ↳ Futterversorgung, was ist machbar fĂĽr unsere Ameisenhaltung?
- ↳ Neues aus Medien & Wissenschaft
- Ameisenbörse
- ↳ Europa-Flohmarkt
- ↳ Exoten-Flohmarkt
- ↳ Andere Insekten & Spinnentiere - Flohmarkt
- ↳ Ameisen-Zubehör-Flohmarkt
- Sonstiges
- ↳ Off-Topic
- ↳ Aus Themen entfernte Beiträge
- ↳ Andere Insekten & Spinnentiere
- ↳ Vorschläge, WĂĽnsche & Umfragen
- ↳ Usertreffen
