Komplette Anlage.
Februar '22
Mai '22
Ältere '22 Bilder
Camponotus barbaricus - Welcome to Lazy Tube
-
Serafine
- Fortgeschrittener Halter
- Beiträge: 2789
- Registriert: 1. März 2017, 16:07
- Auszeichnung: 1
- Hat sich bedankt: 551 Mal
- Danksagung erhalten: 1888 Mal
#161 Camponotus barbaricus - Welcome to Lazy Tube
Komplette Anlage.
Februar '22
Mai '22
Ältere '22 Bilder
Februar '22
Mai '22
Ältere '22 Bilder
-
Serafine
- Fortgeschrittener Halter
- Beiträge: 2789
- Registriert: 1. März 2017, 16:07
- Auszeichnung: 1
- Hat sich bedankt: 551 Mal
- Danksagung erhalten: 1888 Mal
#162 Camponotus barbaricus - Welcome to Lazy Tube
August '22
Hab was neues versucht, Igelfultter. Wurde angenommen, der Renner wars aber nicht.
Wachsmaden. Die lieben sie. Genauso wie die Motten, in die sie sich entwickeln.
Grllen. Noch immer ein Lieblingsessen. Der Neben-Abfallhaufen. Eine Wespe fiel nachts in das Becken und bevor ich überhaupt realisiert hatte was passiert war war es schon zu spät.
Mehr Wachsmotten und Kokons.
Hab was neues versucht, Igelfultter. Wurde angenommen, der Renner wars aber nicht.
Wachsmaden. Die lieben sie. Genauso wie die Motten, in die sie sich entwickeln.
Grllen. Noch immer ein Lieblingsessen. Der Neben-Abfallhaufen. Eine Wespe fiel nachts in das Becken und bevor ich überhaupt realisiert hatte was passiert war war es schon zu spät.
Mehr Wachsmotten und Kokons.
-
Serafine
- Fortgeschrittener Halter
- Beiträge: 2789
- Registriert: 1. März 2017, 16:07
- Auszeichnung: 1
- Hat sich bedankt: 551 Mal
- Danksagung erhalten: 1888 Mal
#163 Camponotus barbaricus - Welcome to Lazy Tube
August '22
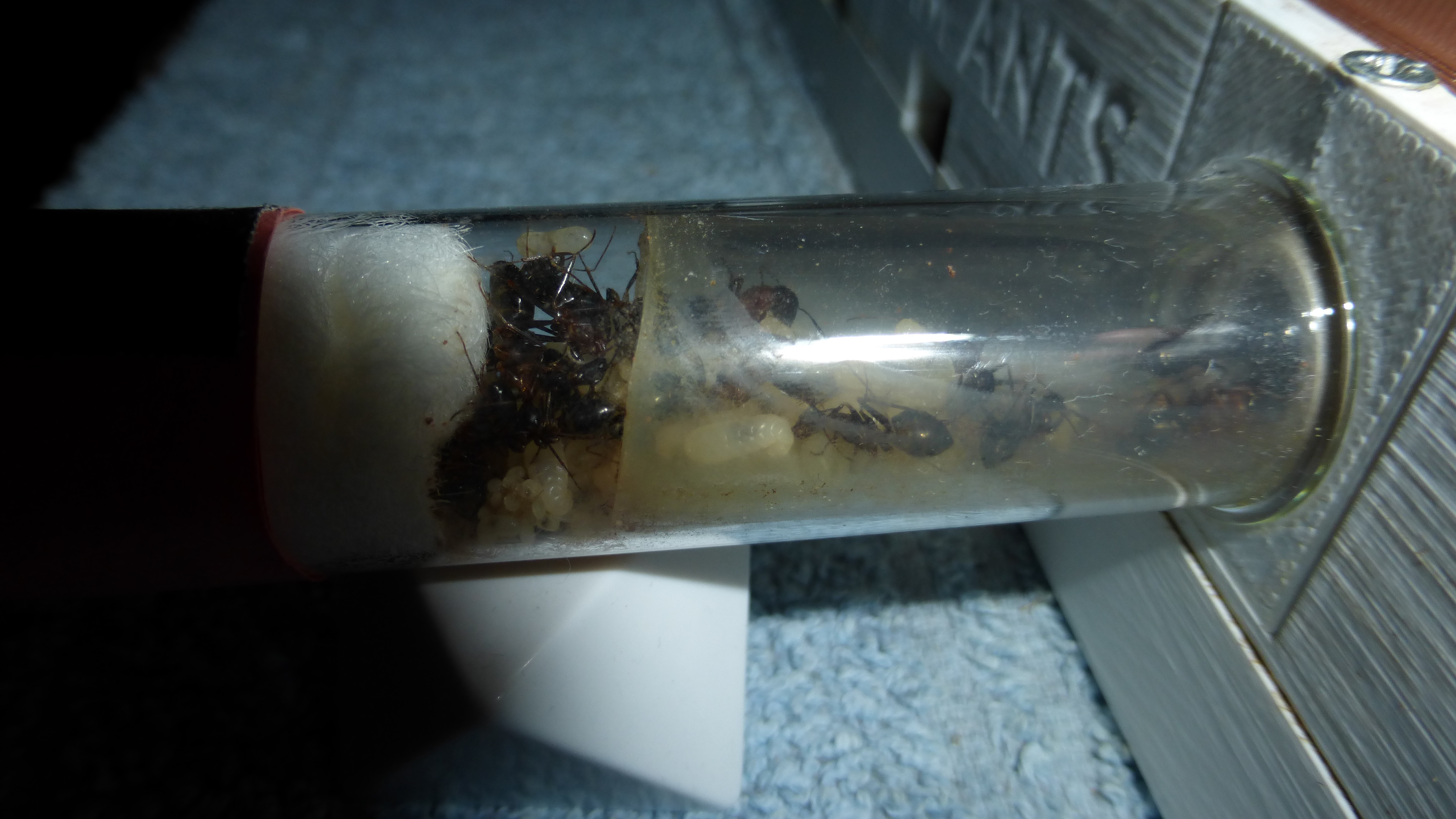
NestĂĽbersicht.
Nestbilder.
Nahaufnahmen. Nest-RGs. Becken-RGs.
Aus irgendeinem Grund mögen die ganz weit vom Nest entfernten Arbeiterinnen dieses Becken.
Viele tote Ameisen, die mal entsorgt werden mĂĽssen.
Eier!
NestĂĽbersicht.
Nestbilder.
Nahaufnahmen. Nest-RGs. Becken-RGs.
Aus irgendeinem Grund mögen die ganz weit vom Nest entfernten Arbeiterinnen dieses Becken.
Viele tote Ameisen, die mal entsorgt werden mĂĽssen.
Eier!
-
Serafine
- Fortgeschrittener Halter
- Beiträge: 2789
- Registriert: 1. März 2017, 16:07
- Auszeichnung: 1
- Hat sich bedankt: 551 Mal
- Danksagung erhalten: 1888 Mal
-
Serafine
- Fortgeschrittener Halter
- Beiträge: 2789
- Registriert: 1. März 2017, 16:07
- Auszeichnung: 1
- Hat sich bedankt: 551 Mal
- Danksagung erhalten: 1888 Mal
#165 Camponotus barbaricus - Welcome to Lazy Tube
September '22
So... musste die komplette untere Sektion der Anlange umbauen (der Teil mit den Nestern und dem groĂźen GLasbecken direkt neben den Nestern), das war toll.
Die Nester wurden entsprechend der Wärmekabel aufgeteilt (ein Block aus 4 Nestern und ein Block aus 2 Nestern), und weil die Nester und das Glasbecken am Ende nicht auf derselben Höhe waren musste die Eingangsverbindung auch komplett ersetzt werden.
Den Ameisen hat das garnicht gefallen und nach einer Weile fingen sie an die Wattestöpsel ziemlich intensiv zu barbeiten (zum Glück hatte ich genug Stöpsel für die Simants-Nester übrig, so waren zumindest die kein Problem), was der ganzen Operation einen gewissen Zeitdruck verlieh. Nachdem ich schon ein paar Tage vorher die Abdeckung entfernt hatte befanden sich nicht mehr sehr viele Ameisen im Becken, das half.
Hier ist das Endprodukt. Sieht finde ich besser aus als vorher.
Die Wassertränke ist ausgelaufen und sie haben sofort die Gelegenheit genutzt eine Höhle darunter zu graben. Jetzt haben sie ein Versteck direkt an ihrer Wasserquelle.
Ameisen, die Dinge essen...
Wachsmotten. Sie mögen die sehr, aber die anfängliche Reaktion war weit weniger start als man erwarten würde.
Habe mal den gelegentlichen Mehlwurm reingeworfen. Normalerweise mögen sie die nicht sonderlich, aber diesmal wurde er bis auf das letzte bisschen ausgenagt.
Reaktion auf Wachsmotten.
Reaktion auf Schaben. Der Unterschied ist deutlich
Letztens haben sie 2 Boxne Heuschrecken bekommen und alle in 3 Tagen augefuttert.
All you can eat Buffet - Heuschrecken, Schaben und Grillen.
Die Grillen sind wirklich extrem beliebt.
So... musste die komplette untere Sektion der Anlange umbauen (der Teil mit den Nestern und dem groĂźen GLasbecken direkt neben den Nestern), das war toll.
Die Nester wurden entsprechend der Wärmekabel aufgeteilt (ein Block aus 4 Nestern und ein Block aus 2 Nestern), und weil die Nester und das Glasbecken am Ende nicht auf derselben Höhe waren musste die Eingangsverbindung auch komplett ersetzt werden.
Den Ameisen hat das garnicht gefallen und nach einer Weile fingen sie an die Wattestöpsel ziemlich intensiv zu barbeiten (zum Glück hatte ich genug Stöpsel für die Simants-Nester übrig, so waren zumindest die kein Problem), was der ganzen Operation einen gewissen Zeitdruck verlieh. Nachdem ich schon ein paar Tage vorher die Abdeckung entfernt hatte befanden sich nicht mehr sehr viele Ameisen im Becken, das half.
Hier ist das Endprodukt. Sieht finde ich besser aus als vorher.
Die Wassertränke ist ausgelaufen und sie haben sofort die Gelegenheit genutzt eine Höhle darunter zu graben. Jetzt haben sie ein Versteck direkt an ihrer Wasserquelle.
Ameisen, die Dinge essen...
Wachsmotten. Sie mögen die sehr, aber die anfängliche Reaktion war weit weniger start als man erwarten würde.
Habe mal den gelegentlichen Mehlwurm reingeworfen. Normalerweise mögen sie die nicht sonderlich, aber diesmal wurde er bis auf das letzte bisschen ausgenagt.
Reaktion auf Wachsmotten.
Reaktion auf Schaben. Der Unterschied ist deutlich
Letztens haben sie 2 Boxne Heuschrecken bekommen und alle in 3 Tagen augefuttert.
All you can eat Buffet - Heuschrecken, Schaben und Grillen.
Die Grillen sind wirklich extrem beliebt.
-
Serafine
- Fortgeschrittener Halter
- Beiträge: 2789
- Registriert: 1. März 2017, 16:07
- Auszeichnung: 1
- Hat sich bedankt: 551 Mal
- Danksagung erhalten: 1888 Mal
#166 Camponotus barbaricus - Welcome to Lazy Tube
September '22
Nestbilder, Ăśbersicht.
Nestbilder, einzelne Nester.
Nestbilder, Zentralkammern.
Nestbilder, Wasser-RGs.
Becken-RGs.
Nestbilder, Ăśbersicht.
Nestbilder, einzelne Nester.
Nestbilder, Zentralkammern.
Nestbilder, Wasser-RGs.
Becken-RGs.
-
Serafine
- Fortgeschrittener Halter
- Beiträge: 2789
- Registriert: 1. März 2017, 16:07
- Auszeichnung: 1
- Hat sich bedankt: 551 Mal
- Danksagung erhalten: 1888 Mal
#167 Camponotus barbaricus - Welcome to Lazy Tube
Oktober '22
Ein StĂĽck neues Dekoration.
Musste erstmal Platz schaffen. Das haben sie mit dem Bodensubstrat gemacht.
Es ist drin und wird schon fleiĂźig erkundet.
Ja, das war definitiv zu viel Wasser.
Ein paarPuppen , aber nicht sehr viele.
Leckere Grillen.
Ein StĂĽck neues Dekoration.
Musste erstmal Platz schaffen. Das haben sie mit dem Bodensubstrat gemacht.
Es ist drin und wird schon fleiĂźig erkundet.
Ja, das war definitiv zu viel Wasser.
Ein paar
Leckere Grillen.
-
Serafine
- Fortgeschrittener Halter
- Beiträge: 2789
- Registriert: 1. März 2017, 16:07
- Auszeichnung: 1
- Hat sich bedankt: 551 Mal
- Danksagung erhalten: 1888 Mal
#168 Camponotus barbaricus - Welcome to Lazy Tube
November '22
Katzenfutter mit Gelee. Sie gehen in erster Linie auf das Gelee, wie ĂĽblich.
Noch immer Kondensation im Nest.
Das Nachspiel einer Angel-Expedition.
Die Tonwurzel wurde definitiv angenommen.
Bin mir sogar ziemlich sicher, dass dieKönigin da drin ist.
Katzenfutter mit Gelee. Sie gehen in erster Linie auf das Gelee, wie ĂĽblich.
Noch immer Kondensation im Nest.
Das Nachspiel einer Angel-Expedition.
Die Tonwurzel wurde definitiv angenommen.
Bin mir sogar ziemlich sicher, dass die
