wir haben das 3. Jahr in Folge Ameisen im Bad (1. Etage, Baujahr 2019, Holzständerwerk. Gebaut wurde unser Haus auf einer Fläche, auf der früher immer Gemeindefeste stattfanden.Der Untergrund war eine Mischung aus Wiese, Sand und kleinen Kieselsteinen).
Sie kommen immer zur gleichen Zeit- Mitte/Ende April. Nach ca. 3 Wochen ist der ganze Spuk wieder vorbei und wir sehen sie das ganze Jahr nicht mehr. Gekrabbelt kommen sie aus Fugenritzen, was mir sehr große Sorgen bereitet. Letztes Jahr hatten wir bereits einen Kammerjäger vor Ort. Dieser hat uns Köderboxen da gelassen und während eines längeren Urlaubs Granulat verteilt. Leider scheinen wir die
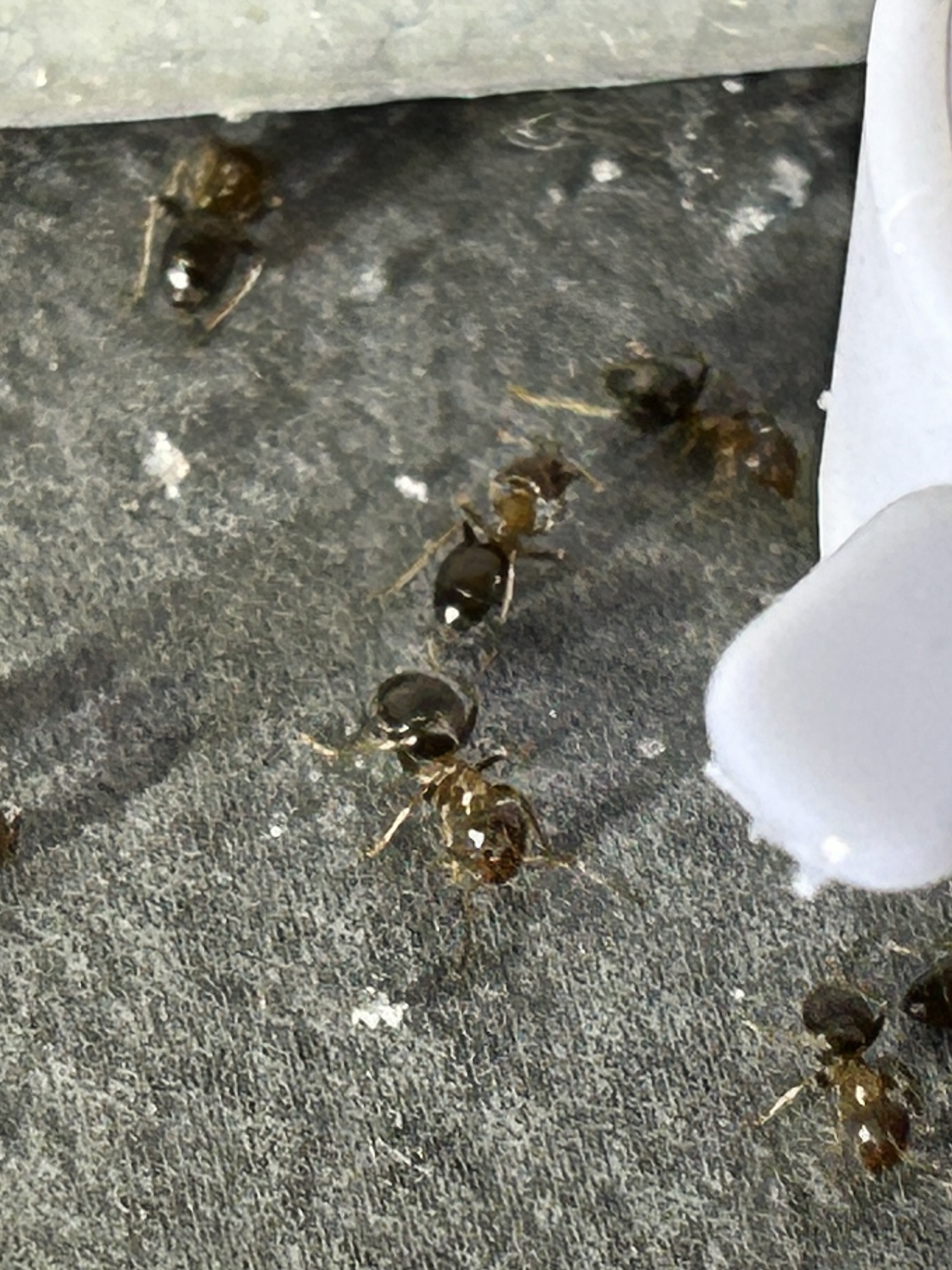
Haben nun wieder die Köderboxen stehen, über die sich die Ameisen wie verrückt her machen. Habe daher mal versucht ein Foto zu machen.
Vielleicht könnte uns hier jemand sagen, um welche Ameise es sich handelt und was wir dagegen tun können.
Im nächsten Step würden wir auch eine Fachfirma kommen lassen zwecks Feuchtigkeitsmessung hinter den Fliesen. Nicht, dass wir irgendwo eine Leckage haben und es sich die Ameisen deswegen gemütlich machen
Im Garten unter der Terrasse vermutet der Kammerjäger ebenfalls ein Nest. Hier konnten wir letztes Jahr Mitte Mai den Schwarmflug beobachten. Ob es hier eine Verbindung gibt, können wir natürlich nicht sagen.
Lieben Dank im Voraus und viele Grüße
Nadine
