Mein Bericht zur Art. Der Start fÀllt auf eine Kolonie, die aktuell am heutigen Abend in ihr neues Nest ziehen wird.
Diese Kolonie wurde im Jahr 2020 gegrĂŒndet und ist somit nun etwas ĂŒber ein Jahr alt.
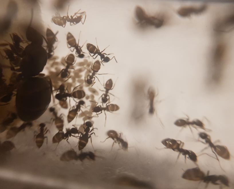
Diese Kolonie zÀhlt rund 800 Arbeiterinnen und - wie man anhand der Bilder gut erkennen kann -
hortet noch einige
dieses Jahr die 1500-Arbeiterinnen-Marke durchbrechen.
Dieses Nest habe ich heute nach Feierabend erstellt:
Taxonomie
-Familia:Formicidae (Ameisen)
--Subfamilia: Formicinae (Schuppenameisen)
---Tribus: Lasiini
----Genus: Lasius Fabricius, 1804
-----Subgenus: Lasius s. str. Fabricius, 1804
------Species: Lasius niger (Linnaeus, 1758)
-------Subspecies: Lasius niger niger (Linnaeus, 1758); Lasius niger pinetorum Ruszky, 1907
SchwÀrmzeit:
Ende Juni bis Anfang September.
HauptschwÀrmzeit von Mitte Juli bis Anfang August; nachmittags
Aussehen/FĂ€rbung:
dunkelbraun bis schwarzbraun. Ziemlich dichte, silbrige Behaarung, dazwischen einzelne lĂïżœĂ€ngere Haare.
Entwicklungszeiten:
Arbeiterinnen;
- Ei zu
-
-
- Insgesamt: 1 - 1,5 (manchmal auch bis 2) Monate
GröĂe
Arbeiterinnen: ca. 3 - 5 mm
MĂ€nnchen: ca. 3,5 - 4,5 mm
Nahrung:
Lebensraum: Europa (weit verbreitet)
